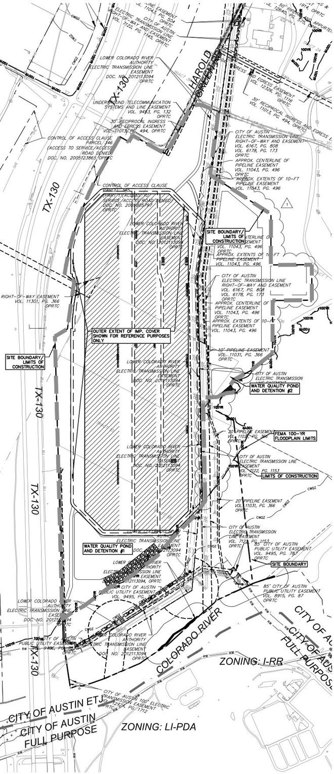
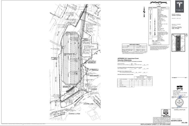
7月份最終確認將在奧斯汀附近新建工廠之后,特斯拉便迅速開始建廠工作,施工方進駐進行2,000英畝(約8.1平方公里)的地面清理。日前,特斯拉正式公布了德克薩斯州吉加奧斯汀超級工廠的建設計劃,首次展示了未來工廠的面貌。

新浪汽車原文配圖
從官方發布的設計圖來看,特斯拉吉加奧斯汀超級工廠的外形似乎與內華達州超級工廠的原始計劃非常相似。不過,特斯拉內華達州超級工廠工廠仍沒有完工,目前只有大約30%的結構可以使用。

內華達州超級工廠建設效果圖
另外,德克薩斯州超級工廠的計劃似乎還顯示有一條分隔馬路,將結構一分為二。

奧斯汀超級工廠目前建筑工地實拍(圖源:Joe Tegtmeyer)
特斯拉現在正在使用Geopier系統來加固工廠地基。按照計劃,特斯拉計劃在今年年底之前完成奧斯汀超級工廠建設,并進行首次“實質性竣工”,從而保證在2021年5月開始正式投產。


據悉,德薩斯州超級工廠將投產多款特斯拉汽車,其中包括Cybertruck皮卡,特斯拉首席執行官埃隆·馬斯克(Elon Musk)甚至曾一度將工廠稱為Cybertruck超級工廠。此外,特斯拉還計劃在這里為美國東海岸用戶生產Model Y和Model 3電動汽車。而特斯拉Semi電動卡車也將在此地生產。(來源:electrek )

電池網微信












